Anmelden
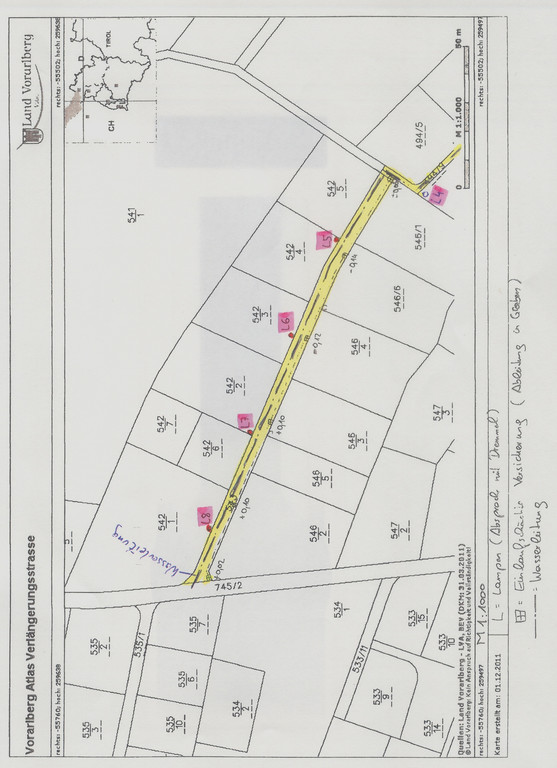
Gallery MeineGemeinde Gaißau Gaißau - Baubeginn Wasserleitung und Fahrradweg Gai__au1_jpg-1348561596
Erweiterte Suche
Diashow ansehen Download Photo (1393 x 1920) Download Photo (557 x 768) RSS-Feeds für dieses Photo

Gaißau - Baubeginn Wasserleitung und Fahrradweg

1. DSC_0037_JP... 2. DSC_0038_JP... 3. DSC_0039_JP... 4. DSC_0040_JP... 5. DSC_0041_JP... 6. Gai__au1_jp...
Datum: 25.09.2012
Größe:
Vollgröße: 1393x1920
erste vorherige
Gai__au1_jpg-1348561596
erste vorherige
Powered by Gallery v2.3