Anmelden
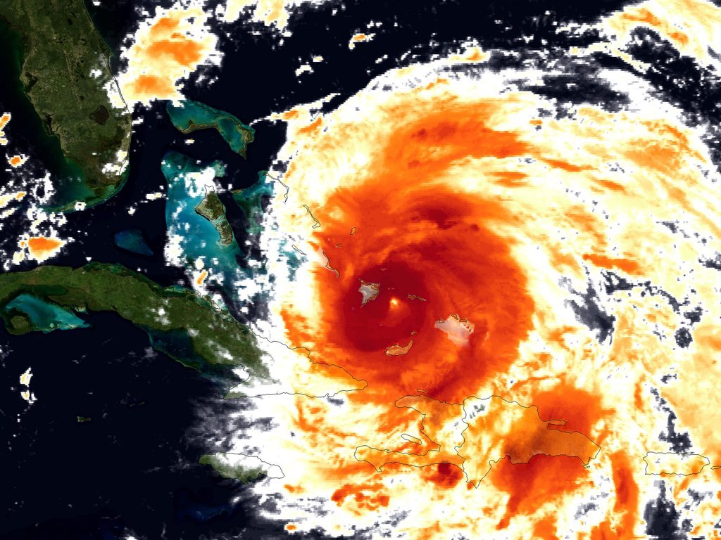
Gallery austria.com Österreich & Welt "Irene" gewinnt an Stärke DAB0790-20110825.jpg
Erweiterte Suche
Diashow ansehen Download Photo (1024 x 768) RSS-Feeds für dieses Photo

"Irene" gewinnt an Stärke

1. DAB0809-201... 2. DAB0790-201... 3. IBD0090-201... 4. IBD0089-201... 5. DAB0648-201... 6. DAB0641-201... 7. DAB0638-201... ... 29. DAB0052-201...
Datum: 25.08.2011
Vollgröße: 1024x768
nächsteletzte
erste vorherige
DAB0790-20110825.jpg
nächsteletzte
erste vorherige
Powered by Gallery v2.3