Anmelden
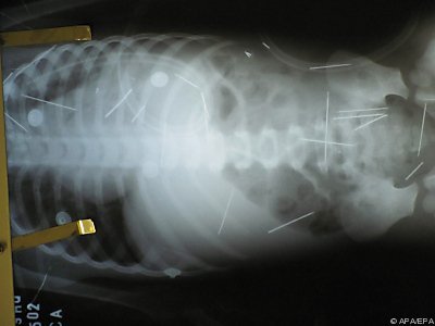
Gallery austria.com Österreich & Welt Brasilien: 50 Nadeln im Körper von Zweijährigen baby.jpg
Erweiterte Suche
Diashow ansehen Download Photo (400 x 300) RSS-Feeds für dieses Photo

Brasilien: 50 Nadeln im Körper von Zweijährigen

1. dc1-5sano9p... 2. baby.jpg 3. dc1-5sano9a...
Datum: 16.12.2009
Vollgröße: 400x300
nächsteletzte
erste vorherige
baby.jpg
nächsteletzte
erste vorherige
Powered by Gallery v2.3