Anmelden
Gallery austria.com Österreich & Welt Hurrikan "Jimena" wird immer gefährlicher dc1-5qs12na079ebevoo6hy_original.jpg
Erweiterte Suche
Diashow ansehen Download Photo (590 x 381) RSS-Feeds für dieses Photo

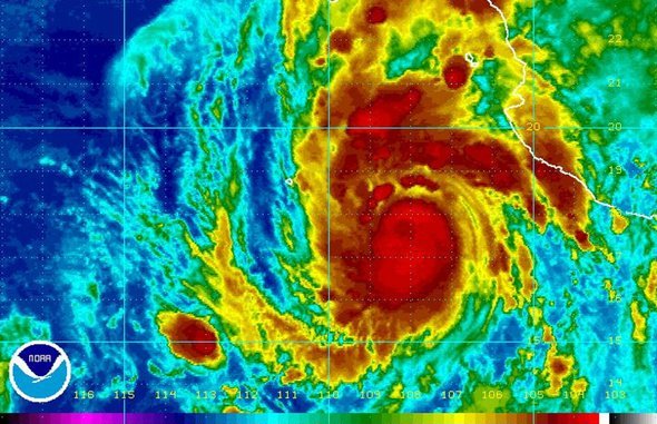
Hurrikan "Jimena" wird immer gefährlicher

1. dc1-5qscc8a... ... 12. dc1-5qs63yi... 13. dc1-5qs628s... 14. dc1-5qs61nm... 15. dc1-5qs12na... 16. dc1-5qrtg9v... 17. dc1-5qrtf0v... 18. dc1-5qrtdqx... ... 22. dc1-5qrrosa...
Datum: 01.09.2009
Vollgröße: 590x381
nächsteletzte
erste vorherige
dc1-5qs12na079ebevoo6hy_original.jpg
nächsteletzte
erste vorherige
Powered by Gallery v2.3