Anmelden
Gallery MeineGemeinde Laterns Laterns feldkirch Vielfaltertag im Europaschutzgebiet Bangs-Matschels IMG_1270.JPG
Erweiterte Suche
Diashow ansehen Download Photo (1024 x 683) Download Photo (4096 x 2730) RSS-Feeds für dieses Photo

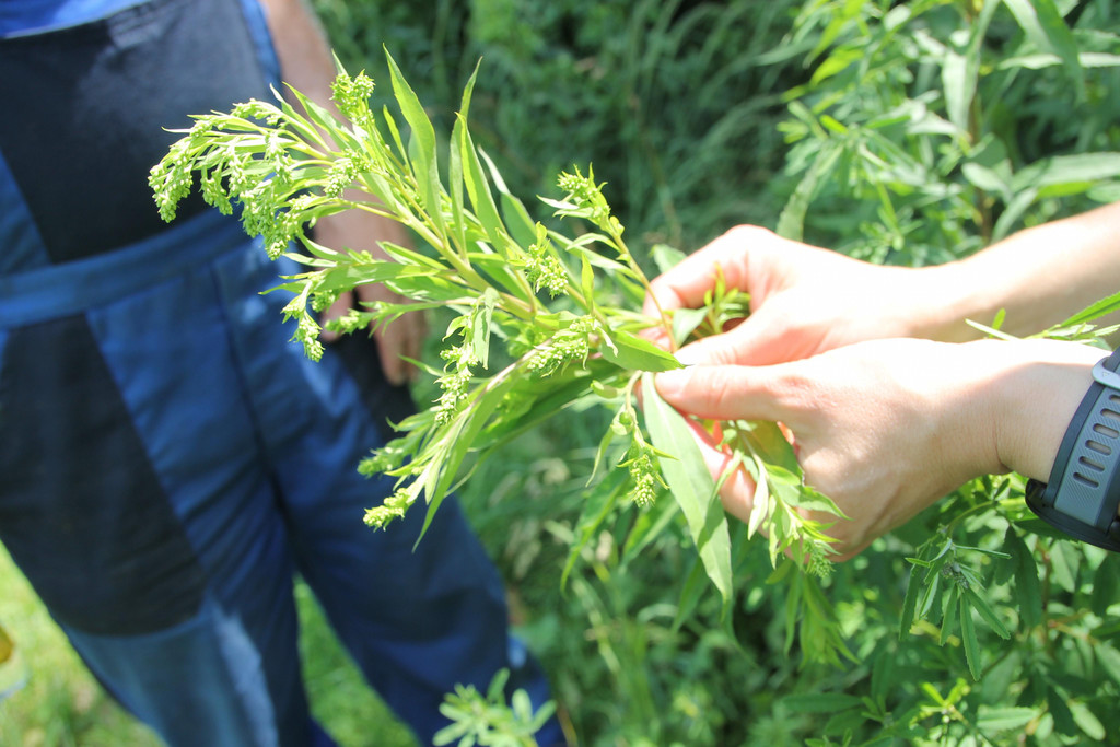
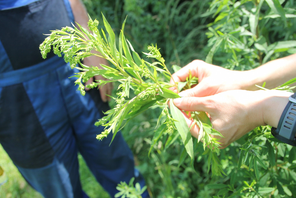
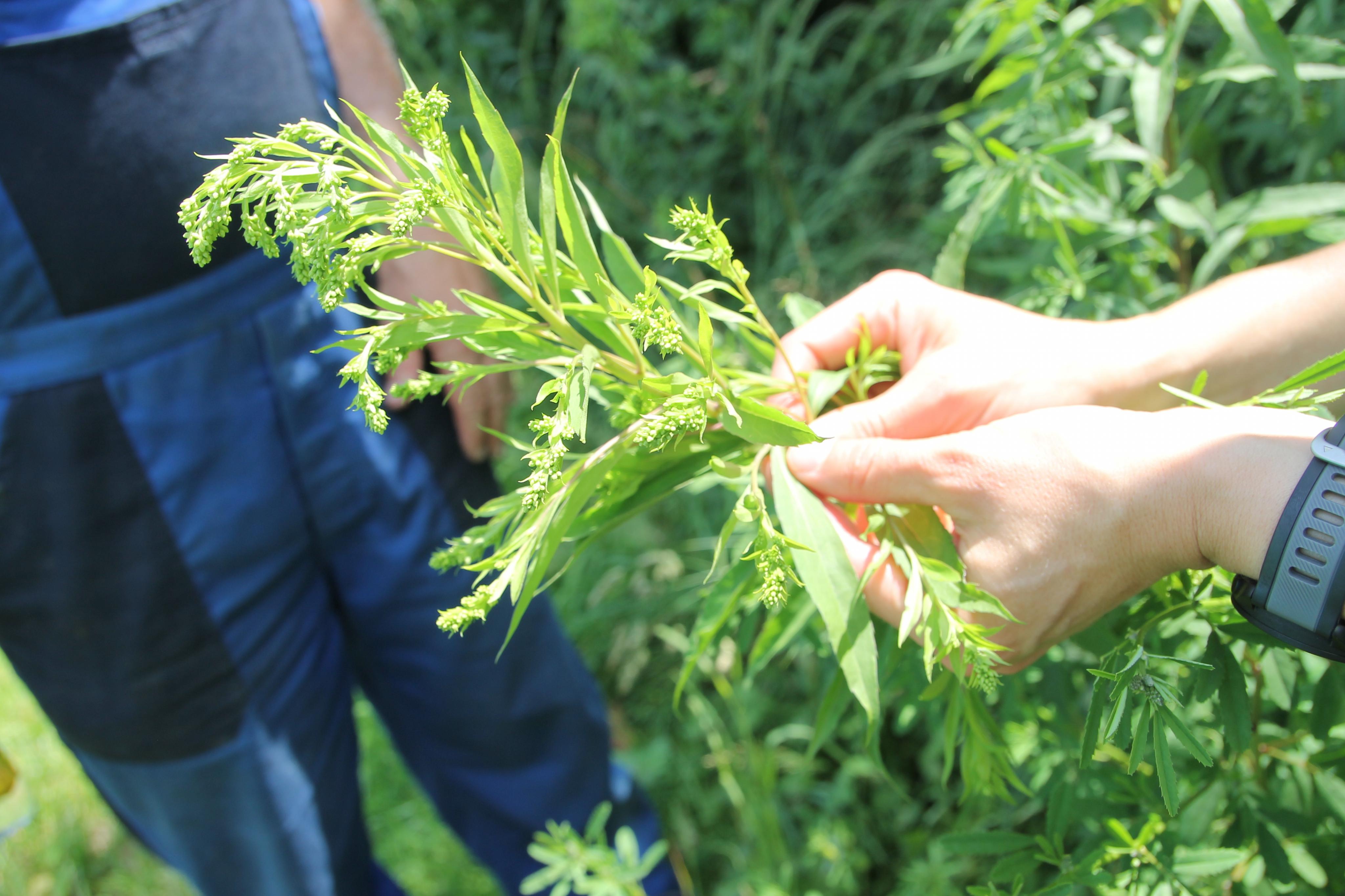
Vielfaltertag im Europaschutzgebiet Bangs-Matschels

1. _IMG_202406... 2. IMG_1270.JPG 3. IMG_1271a.jpg 4. IMG_1275_La... 5. IMG_1276.JPG 6. IMG_1279.JPG 7. IMG_1286.JPG ... 12. IMG_2024062...

Unter fachkundiger Anleitung entfernen die Helfer Goldrute und andere Neophyten, um die Artenvielfalt zu bewahren.

Datum: 28.06.2024
Größe:
Vollgröße: 4096x2730
nächsteletzte
erste vorherige
IMG_1270.JPG
nächsteletzte
erste vorherige
Powered by Gallery v2.3